Приведем в порядок русское кладбище

5391

От лица группы православных людей, душой болеющих за Веру и Справедливость, еще раз обращаюсь ко всем с предложением принять участие в субботнике по расчистке старого православного гарнизонного кладбища, расположенного в окрестностях Саласпилсского мемориала. Это место последнего упокоения солдат российской армии, служивших в начале XX века в т.н. «Петровском лагере», который располагался на месте нынешнего Саласпилса.

Во время прежних работ по расчистке территории от зарослей кустарника и многолетнего бурелома были обнаружены многочисленные человеческие останки, которые по ряду признаков можно отнести к захоронениям времен Великой Отечественной войны, когда нацисты, скрывая свои преступления, устраивали братские могилы узников Саласпилса среди солдатских захоронений царского времени.

Работы начнутся в субботу, 18 апреля, в 12 часов дня. Захватите, пожалуйста, с собой рабочий инвентарь – пилы, топоры.

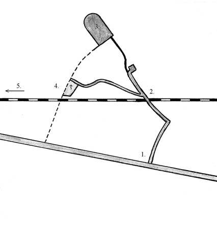
Как добраться до кладбища

1. Поворот от шоссе Рига-Даугавпилс к Саласпилсскому мемориалу.

2. Поворот налево, сразу за ж/д переездом.

3. Территория Мемориала

4. Территория православного кладбища с развалинами часовни

5. Ж/д станция Дарзини

Поделиться:

Комментарии

Пожалуйста, введите ваш комментарий!
пожалуйста, введите ваше имя здесь
Captcha verification failed!
оценка пользователя капчи не удалась. пожалуйста свяжитесь с нами!